Aktuelles
Wissen: Das Liegenschaftskataster (29.01.2026)
Was ist das Liegenschaftskataster?
Das Liegenschaftskataster (LiKa) ist beim Amt für Liegenschaften und Geoinformation (ALG), Abteilung Geoinformation angesiedelt. Es gehört neben den Orthofotos zu den Basisdaten von Geodaten bzw. von topografischen bzw. thematischen Kartenwerken.
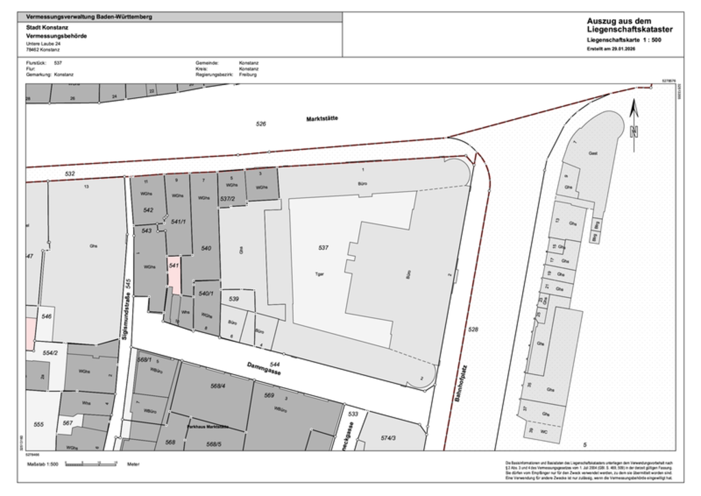
Das LiKa ist das amtliche Verzeichnis der Flurstücke und Gebäude wobei die Bezeichnung Flurstück der Begriff für das identische Grundstück des Grundbuches ist. Die Verbindung zum Grundbuch wird durch die Ansicht von grundbuchspezifischen Sachdaten wie der Grundbuchblattnummer, dem Eigentümer oder der Eigentumsverhältnisse sichtbar.
Flurstücke sind die kleinste Buchungseinheit des Liegenschaftskatasters. Diese werden gemarkungsweise mit einer eindeutigen Flurstücksnummer definiert, die zusammen mit dem Gemarkungsnamen als häufigste Identifikationsnummer für Suchanfragen dient.
Welche Sachdaten sind abrufbar?
· Flurstücksnummer
· Amtliche / Grafische Flurstücksfläche
· Lagebezeichnung (Straße/Gewann)
· Gebäudeart
· Tatsächliche Nutzung
Wo sind die Zuständigkeiten?
Die Stadt Konstanz ist für die Gemarkungen Konstanz, Dettingen, Dingelsdorf, Litzelstetten und dem auf schweizerischen Staatsgebiet liegenden Tägermoos zuständig.
Durch amtliche Vermessung werden Änderungen an Flurstücken durch das Sachgebiet Vermessung durchgeführt und in Form von Grenzpunkten örtlich abgesteckt.
Für die fachliche Prüfung und Fortführung der Katasterdaten ist das Sachgebiet Liegenschaftskataster zuständig
Die technische Pflege und Verwaltung obliegen dem Sachgebiet GIS.
Zu den Ansprechpartnern der Abteilung Geoinformation gelangen Sie hier.
Sie benötigen Informationen aus dem Liegenschaftskataster?
Dann gibt es folgende Möglichkeiten:
· Für eine rein grafische nicht amtliche Darstellung mit einer wöchentlichen Datenaktualität können Sie diese in unserem Geoportal unter folgendem Link einsehen.

· Zum Beantragen eines amtlichen Liegenschaftskatasterauszugs (amtlicher Lageplan) bzw. für eine tagesaktuelle Einsicht mit Sachdaten gibt es eine Online-Auskunft, die man über diesen Link erreicht.
Bitte beachten Sie, dass Sie für die Beantragung ein berechtigtes Interesse nachweisen müssen, wenn Sie nicht der Eigentümer sind.

Automatisierte amtliche Lageplanauskunft (11.10.2022)
Ab sofort ist es BürgerInnen möglich, eigenständig einen amtlichen Lageplan zu erstellen. Dafür hat das Amt für Liegenschaften und Geoinformation zusammen mit der IT und den Firmen Baral Geohaus-Consulting AG und Seitenbau eine neue Anwendung implementiert. Die Anbindung erfolgt über das Portal service.BW des Landes. Das heißt, die BürgerInnen benötigen dafür ein Benutzerkonto auf service.BW.
Nach der Anmeldung oder erstmaligen Registrierung gelangt man über die Eingabe der Rechnungsadresse auf einer Karte zu dem gewünschten Flurstück. Alternativ filtert eine Suchfunktion nach Adresse, Flurstücksnummer oder Schlagworten. Im nächsten Schritt wird der genaue Ausschnitt festgelegt: DIN A3 oder A4, Hoch- oder Querformat und der Maßstab (1:500, 1:1000 oder 1:2500). Zusätzlich ist es möglich, den Kartenausschnitt freihändig zu verschieben und zu drehen sowie bei Bedarf eine oder mehrere weitere Seiten anzufügen. Ist der gewünschte Ausschnitt gewählt und alle Einstellungen gemacht, gibt es im nächsten Schritt noch eine kurze Zusammenfassung, bevor die Plananfrage abgeschickt und der amtliche Lageplan erstellt wird. Anschließend erfolgt eine Weiterleitung zurück zu service.BW, wo der Bezahlvorgang stattfindet. Über den Gebührenbescheid wird der zu bezahlende Betrag angezeigt. Es stehen verschiedene Bezahlmethoden zur Verfügung (Kreditkarte, giropay, PayPal oder paydirekt). Nach erfolgreicher Bezahlung liegen der amtliche Lageplan und der Gebührenbescheid sofort im Servicekonto als Download bei service.BW zur Verfügung. Eine Bestellung über den BauPunkt ist weiterhin möglich.
Der Online Stadtplan (24.08.2022)
Ein Stadtplan ist längst nicht mehr eine einfache Karte um sich möglichst schnell in einer Stadt zu orientieren, er enthält heutzutage viele Informationen für den täglichen Gebrauch.
Erstmalig erschienen ist der Amtliche Stadtplan der Stadt Konstanz 1927. Heutzutage wird dieser laufend digital im Amt für Liegenschaften und Geoinformation fortgeführt und ist jederzeit tagesaktuell erhältlich. Eine gedruckte Version erscheint alle zwei Jahre als praktisches Ringbuch mit zahlreichen Hintergrundinformationen.
Die Darstellung des Online-Stadtplan im Geoportal www.konstanz.de/geoportal ist einfach gehalten und auf allgemeinverständliche Signaturen reduziert. Standardmäßig ist als Hintergrundkarten ein farbiges Layout eingestellt. Zusätzlich stehen auch eine in Graustufen gehaltene Version und die Orthobilder 2017 und 2020 zur Auswahl. Eine Suchfunktion erleichtert die Suche nach Straße und Hausnummer. Das Werkzeug Messen ermöglicht zudem eine Fläche oder eine Strecke zu ermitteln oder auch über Position den Standort anzeigen zu lassen.
Wo ist der nächste Grillplatz, gibt es im Parkhaus noch freie Stellplätze oder wann fährt der Bus. Und ist der auch pünktlich? Zwölf Kategorien geben Auskunft über unterschiedliche Themen. So sind in Freizeiteinrichtungen nicht nur Grillplätze zu finden, sondern auch Parkanlagen, Kinderspielplätze und vieles mehr. Das Thema Verkehr zeigt Standorte von Parkhäusern oder Haltestellen und mit einem Klick auf das jeweilige Symbol gibt es weitere Auskünfte in einem pop-up-Fenster, bzw. eine Weiterleitung auf die jeweilige Homepage. Hier gibt es Öffnungszeiten, die Anzahl der freien Stellplätze oder auch die Höhenbegrenzung. Eine Weiterleitung auf die Homepage ‚bwegt‘ informiert über die Echtzeitabfahrten (EFA BW) der Linienbusse im Thema Haltestellen.
Themen und Inhalte:
Bildung/ Kindergärten: Kindertagesbetreuung, Grundschulförderklassen, Grundschulen, Gymnasien, Realschulen, Berufsschulen, Förderschulen, Hochschulen, Universität
Freizeiteinrichtungen: Sportplätze, Bolz- und Spielplätze, Skateranlagen, Grillplätze, Bäder, Spielbank, Parkanlagen
Städtische Einrichtungen: Stadtverwaltung, Stadtwerke, Touristinformation, Sonstige
Gesundheit und Notruf: Standorte von Notrufsäulen und Defibrillatoren, Krankenhäuser
Kulturelle Einrichtungen: Musik, Bibliotheken Museen, Kinos, Theater, Veranstaltungshäuser
Verkehr: Bahnhöfe, Bushaltestellen, Busliniennetz, Parkplätze und -häuser, Stellplätze für Behinderte, Parkplätze für E-Fahrzeuge, Carsharing, Hafen, Flugplatz
Religion: Evangelische und katholische Kirchen, Religionsgemeinschaften
Städtische Entsorgung: Container für Altglas und Altkleider, Wertsoffhöfe
Soziale Einrichtungen: Sozialzentren, Tierschutz, Beratungsstellen
Öffentliche Einrichtung: Behörden, WLAN, Friedhöfe, Trinkwasser/ Brunnen, Öffentliche Toiletten
Übernachten: Campingplätze, Jugendherbergen, Wohnmobilstellplätze
Älter werden in Konstanz: Beratung, Wohnen im Alter, Unterstützung im Alltag, Betreuungsangebote, Haunotruf, Essen auf Rädern, Häusliche Pflege, Pflegeheime, Kurzzeitpflege, Tagespflege, Ambulante Betreuung, Seniorenvertretung
Release Geoportal (17.05.2022)
Heute (17.05.2022) ist unser neues Geoportal auf konstanz.de online gegangen.
Das Geoportal ist ein weiterer und wichtiger Schritt zur Digitalisierung und bietet allen Bürgerinnen und Bürgern einen sehr guten Service, um ihnen einen einfachen Zugang zu den Geodaten über einen Web-Browser im responsiven Design zu ermöglichen. Das heißt, die Daten sind auf jedem Gerät lesbar, egal ob Desktop-PC, Tablet oder Smartphone. Die Geodaten der Stadt Konstanz werden vom Amt für Liegenschaften und Geoinformation, Sachgebiet GIS bereitgestellt.
Aber was sind eigentlich Geodaten? Geodaten sind raumbezogene Informationen, also Objekte, welche durch eine Position auf der Erdoberfläche verortet sind und sachliche Auskünfte besitzen.
Im Geoportal Konstanz werden der Öffentlichkeit unterschiedlichste Themen aus den Bereichen Planen und Bauen, Verkehr, Umwelt, Sport und Freizeit zugänglich gemacht. Hier kann man also zum Beispiel nachschauen ob das Parkhaus Altstadt noch freie Stellplätze hat, wo der nächste Grillplatz ist ob es einen rechtsverbindlichen Bebauungsplan gibt oder sich einfach mal Konstanz aus der Vogelperspektive anschauen.
Die Hintergrundkarte des Online-Stadtplan wird standardmäßig als der bekannte Stadtplan aufgerufen, kann aber nach Belieben z.B. auch auf das Orthobild 2020 umgestellt werden. Er enthält eine Vielzahl von interessanten Orten und Themen (POI’s) aus Freizeit, Bildung, Kultur, Soziales und vielem mehr. An jedem einzelnen POI hängen wiederum Informationen zur gewählten Einrichtung. Außerdem hilft eine Suchfunktion nach Straßen und Hausnummern zu suchen.
Die Basisdaten, welche grundlegend die Landschaft und das Liegenschaftskataster beschreiben, bestehen aus dem Liegenschaftskataster mit Flurstücksnummern, Hausnummern und Nutzungen, sowie den Orthobildern von 2014, 2017 und 2020. Die Orthobilder können auch, ganz praktisch, mit einem Schieberegler miteinander verglichen werden. Auch in dieser Karte kann nach Straße/ Hausnummer gesucht werden.
Die Bebauungsplanübersicht und der Energienutzungsplan. Diese wichtigen Themen der städtebaulichen Entwicklung geben umfängliche Informationen im Bereich Planen und Bauen. In der App rechtsverbindlicher Bebauungspläne werden alle in Kraft getretenen Bebauungspläne, inklusive der Textteile bereitgestellt. In naher Zukunft wird auf dieser Seite auch der Flächennutzungsplan zur Verfügung gestellt. Der Energienutzungsplan zeigt zum Beispiel, wie viel Energie die Gebäude auf dem Stadtgebiet zurzeit benötigen und wie sich Energiebedarf und -erzeugung in Zukunft klimafreundlicher gestalten lassen.
Dreidimensionale Geodaten spielen mittlerweile eine sehr große Rolle in der Stadtverwaltung. Daher ist im neuen Geoportal auch das 3D-Stadtmodell der Stadt Konstanz als realistische und als thematische Version veröffentlicht. Auch hier sind viele interessante Orte, wie auch schon im Stadtplan, abrufbar.
