FNP-Änderung Nr. 41 - "Jungerhalde-West"
Änderung des Flächennutzungsplanes 2010
der Vereinbarten Verwaltungsgemeinschaft „Bodanrück-Untersee“, bestehend aus Konstanz, Allensbach und Reichenau
Teilverwaltungsraum I, Konstanz
| Änderung Nr. 41 Plangebiet„Jungerhalde-West“ |
- Beteiligung der Öffentlichkeit – Veröffentlichung im Internet |
Der Gemeinsame Ausschuss der Vereinbarten Verwaltungsgemeinschaft Bodanrück-Untersee hat am 04.11.2025 in öffentlicher Sitzung den Entwurf der 41. Änderung des Flächennutzungsplans gebilligt und beschlossen, diesen gemäß § 3 Absatz 2 Baugesetzbuch (BauGB) im Internet zu veröffentlichen. Die Stadt Konstanz stellt derzeitig den Bebauungsplan „Jungerhalde-West“ auf. Der Bebauungsplan hat das Ziel ein flächeneffizientes Wohnquartier unter besonderer Berücksichtigung des Freiraums sowie energetischer, ökologischer und sozialer Qualitätsstandards zu entwickeln. Der Bebauungsplan ist auch Grundlage für das neue Feuerwehrgerätehaus für den Stadtteil Allmannsdorf. Parallel zur Aufstellung des Bebauungsplans ist eine entsprechende Anpassung des Flächennutzungsplanes gemäß § 8 Absatz 3 BauGB erforderlich. In der Bilanz stellt sich die Änderung wie folgt dar:
Flächenbilanz der 41. Änderung des FNP 2010
| Nutzungen | FNP 2010 | Darstellung neu |
|---|---|---|
| Wohnbaufläche Planung | ----- ha | 1,3 ha |
| Fläche für Landwirtschaft | 1,3 ha | ----- ha |
| Gesamt | 1,3 ha | 1,3 ha |
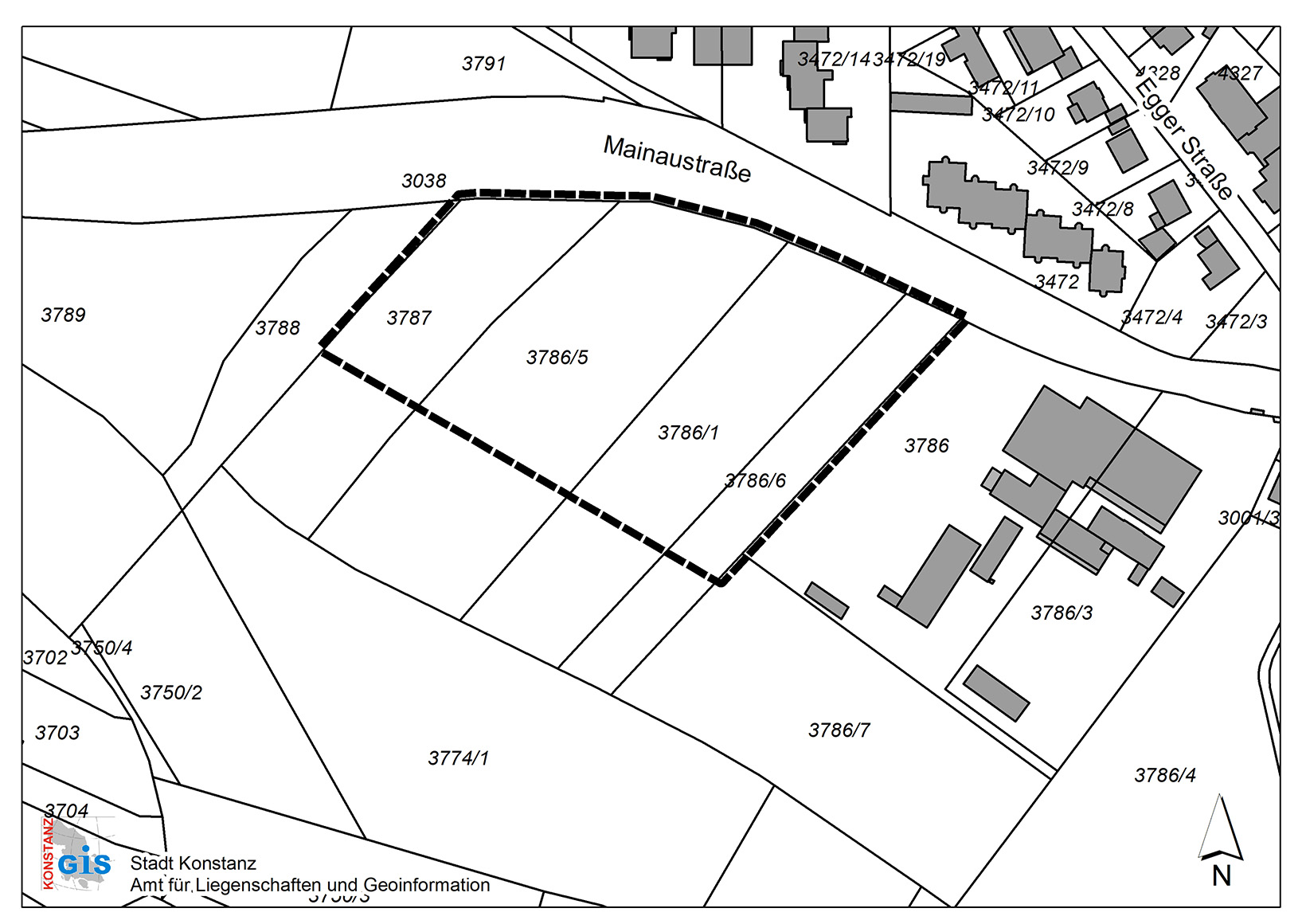
Der räumliche Geltungsbereich ist dem nachstehenden Kartenausschnitt zu entnehmen.
Der Änderungsbereich der 41. Flächennutzungsplanänderung liegt zwischen der
- Mainaustraße im Norden,
- dem Gelände des Gartencenters im Osten
- und dem Hockgraben im Südwesten.
Ort und Zeit der Beteiligung der Öffentlichkeit
Der Inhalt dieser Bekanntmachung sowie die Planunterlagen (bestehend aus dem Entwurf der Änderung des Flächennutzungsplans einschließlich Begründung und Umweltbericht) können im Zeitraum vom 17.11.2025 bis einschließlich 19.12.2025 im Internet unter dem Link www.konstanz.de/bauleitplanung eingesehen werden. Zusätzlich zur Veröffentlichung im Internet werden die Unterlagen im obengenannten Zeitraum im Amt für Stadtplanung und Umwelt der Stadt Konstanz, Untere Laube 24, 5. OG, vor Raum 5.32 - 5.38 öffentlich ausgelegt. Die Unterlagen können auch in der Gemeinde Allensbach im Bürgermeisteramt – Ortsbauamt – Rathausplatz 8 und in der Gemeinde Reichenau im Rathaus – Hauptamt im EG – Münsterplatz 2 während der dort üblichen Dienststunden eingesehen werden. Darüber hinaus informiert die Stadt Konstanz auf einer Abendveranstaltung über die Planung. Diese Veranstaltung findet am 24.11.2025 um 18:00 Uhr im Verwaltungsgebäude Laube, Untere Laube 24, 6. OG, im Raum 6.17 (Sitzungssaal) statt. Bestandteil der einsehbaren Unterlagen sind auch die bereits vorliegenden umweltbezogenen Informationen und Stellungnahmen:
- Umweltbericht (Auswirkungen der Planung auf Schutzgüter, Bezug auf umliegende Biotope, Schutzgebiete und Geschützter Grünbestand).
- Stellungnahmen: Landratsamt Konstanz (landesweiter Biotopverbund);
Naturschutzbund Konstanz/Bund für Umwelt und Naturschutz (Avifauna, Versiegelung von Ackerböden/Agrarflächen und Nutzungsdruck des angrenzenden FFH-Gebiets).
Während der Dauer der Veröffentlichungsfrist können Stellungnahmen zu der Planung abgegeben werden. Die Stellungnahmen sollen elektronisch (E-Mail: bauleitplanung@konstanz.de) übermittelt werden, bei Bedarf ist die Abgabe auch auf anderem Weg – wie etwa schriftlich – beim Amt für Stadtplanung und Umwelt der Stadt Konstanz sowie bei den Gemeinden Allensbach und Reichenau möglich. Die Stellungnahmen sollten gegebenenfalls die genaue Bezeichnung des betroffenen Grundstücks beziehungsweise Gebäudes enthalten. Außerdem sollte die volle Anschrift des Verfassers angegeben werden, damit das Ergebnis der Behandlung der Stellungnahmen mitgeteilt werden kann. Es wird darauf hingewiesen, dass nicht während der genannten Frist abgegebene Stellungnahmen gemäß § 4a Absatz 5 BauGB bei der Beschlussfassung über den Flächennutzungsplan unberücksichtigt bleiben können. Ferner wird darauf hingewiesen, dass eine Vereinigung im Sinne des § 4 Absatz 3 Satz 1 Nr. 2 des Umwelt-Rechtsbehelfsgesetztes (UmwRG) gemäß § 7 Absatz 3 Satz 1 UmwRG mit allen Einwendungen ausgeschlossen ist, die sie im Rahmen der Auslegungsfrist nicht oder nicht rechtzeitig geltend gemacht hat, aber hätte geltend machen können. Bei Rückfragen zu den obengenannten Unterlagen wird um vorherige telefonische Terminvereinbarung (Tel. 07531/900-2532 oder -2533) gebeten. Vereinbarte Verwaltungsgemeinschaft Bodanrück-UnterseeStadt Konstanz – Uli Burchardt Oberbürgermeister
